Indrukwekkende subtropische storm op de Middellandse Zee en krachtigste orkaan in 127 jaar bij Noord-Australië (deel 2)
Bij orkanen denken we meestal aan de tropische gebieden. Het warme zeewater geeft in de zomermaanden veel energie aan deze tropische depressies en dat leidt tot systemen die aansterken tot orkaankracht. Toch kan een vergelijkbare ontwikkeling zich ook voordoen op andere plekken van de aarde. Bijvoorbeeld op de Middellandse Zee, waar het dan een medicane wordt genoemd.Mediterranean x Hurricane
De naam ‘medicane’ (een samenvoeging van ‘Mediterranean’ en ‘hurricane’) wordt gegeven aan orkaanachtige systemen die in het Middellandse Zeegebied voorkomen. Het zijn krachtige stormen die grote gevolgen hebben voor de gebieden die het tegenkomt in zijn pad. In september 2023 verwoestte medicane Daniel grote delen van Libië en dat werd de dodelijkste overstroming ooit in Afrika. Vorig jaar verscheen hierover een tweedelige serie op weer.nl als terugblik 2 jaar na de storm.
Voormalige storm Samuel veranderde op 17 maart geleidelijk in een medicane. De stormdepressie die vormde tussen Sicilië en Tunesië werd door de stormnamengroep van Zuidwest-Europa benoemd tot Samuel, maar vanuit Italië kreeg het de naam Jolina.
Wat maakte het een medicane?
Het systeem heeft geen “koude kern”, in tegenstelling tot de gebruikelijke extratropische cyclonen op de hogere breedtegraden. Medicanes zijn doorgaans hybride stormsystemen die beginnen met een koude kern (de lucht in het centrum van het drukgebied is kouder dan de omgeving) en zich ontwikkelen tot systemen met een warme kern. Het lagedrukgebied vormt door grote temperatuur- en drukverschillen tussen fronten, terwijl warm zeewater de ontwikkeling versterkt.
Meteorologische kaarten van Jolina hintten op een warme kern en een duidelijk oogachtige structuur, wat niet waargenomen wordt bij standaard extratropische cyclonen. Het zeewater van de Middellandse Zee is eind maart nog vrij koel en met 15-16°C eigenlijk aan de lage kant voor een medicane. Het contrast met koude lucht hoger in de atmosfeer veroorzaakte echter een groot deel van de dynamiek. Door deze factoren bestempelden sommige Europese meteorologische centra dit officieel als een medicane.
Jolina kwam op 18 maart aan land op de kust van Libië, maar de meest hevige neerslag bleef beperkt tot vlak bij het kustgebied. Ernstige overstromingen bleven het land bespaard. Windsnelheden lagen relatief laag en onderweg naar Egypte veroorzaakte het vooral zandstormen.
“Echte” orkaan bij Australië
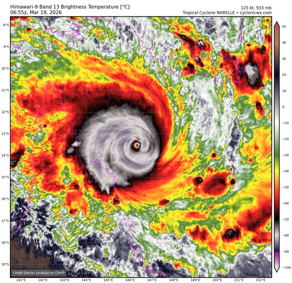
Bijna tegelijkertijd met medicane Jolina ontwikkelde er op het zuidelijk halfrond een zeer intense tropische storm: Narelle. Voor de noordoostkust van Australië werd de circulatie van een stormdepressie steeds krachtiger en groeide het binnen twee dagen uit van een categorie-2 cycloon naar een categorie-5. Dit is de zwaarste categorie binnen de orkaanclassificatie en stormen van deze categorie halen windsnelheden van ten minste 200 kilometer per uur.
Cycloon Narelle bereikte de top windsnelheid van 240 km/h vlak voordat ze over het noordelijkste puntje van Queensland trok. Dit ging gepaard met zeer zware windstoten en extreme regenval. De cycloon trok over gebieden met een relatief kleine bevolking, maar de inwoners meldden veel materiële schade en stroomuitval.

Met infraroodmetingen van cycloon Narelle wordt de temperatuur van de wolken in kaart gebracht en dat laat de verschillende wolkenstructuren zien. Bron: cyclonicwx
Heel, heel veel regen
Op het pad van de cycloon werd daarnaast tussen de 200 en 500 millimeter neerslag verwacht. Zo veel regen binnen korte tijd brengt een groot risico op overstromingen. Het noorden van Australië zit op dit moment in het regenseizoen, wat betekent dat stroomgebieden op veel plaatsen al verzadigd zijn. De kans op plotselinge overstromingen is dan groot.
Na het oversteken van het schiereiland Cape York, waar het de eerste categorie-5 cycloon was sinds 1899, zwakte Narelle af naar een cycloon van de derde categorie. Nog steeds is het windveld sterk en het regengebied groot. Op het moment van schrijven wordt verwacht dat het als een categorie-2 cycloon opnieuw aan land komt in het Noordelijk Territorium. Dit is een gebied dat eerder deze maand al te maken kreeg met grote overstromingen (en daardoor krokodillen op straat!). Inwoners van bijvoorbeeld het dorp Katherine hebben nauwelijks de kans gehad voor de wederopbouw voordat de volgende zware storm in het vooruitzicht kwam. Narelle gaat ongetwijfeld de boeken in als een krachtige cycloon met een catastrofale impact.

De neerslagsom van donderdag tot en met zaterdag, veroorzaakt door cycloon Narelle. In het noordelijkste puntje van Queensland viel tot wel 500 mm regen. Hierna wordt ook ruim 100-200 mm verwacht in het Noorderijk Territorium. Bron: Meteologix

